Impacta huracán Erick en las costas de Oaxaca
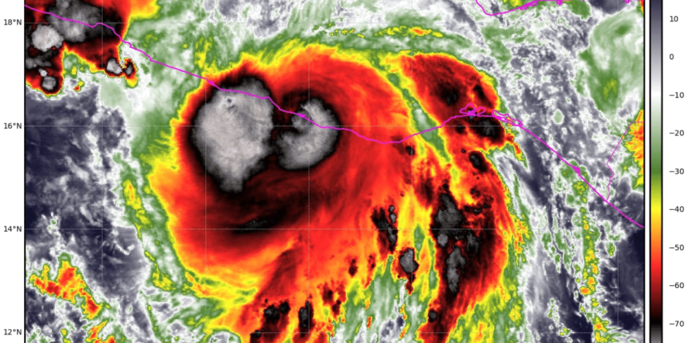
Hace unos momentos el huracán Erick tocó tierra en Oaxaca y ya se desplaza al interior del estado. Esta madrugada, cerca de más 05:30 horas del centro de México el huracán ‘Erick’ tocó tierra en Santiago de Pinotepa Nacional, Oaxaca, con vientos máximos sostenidos cercanos a los 200 kilómetros por hora, es decir como un … Sigue leyendo Impacta huracán Erick en las costas de Oaxaca
Copia y pega esta URL en tu sitio WordPress para incrustarlo
Copia y pega este código en tu sitio para incrustarlo